수의사 상담

의료 전문 상담이 필요한 분들께 수의사가 직접 답변드립니다!

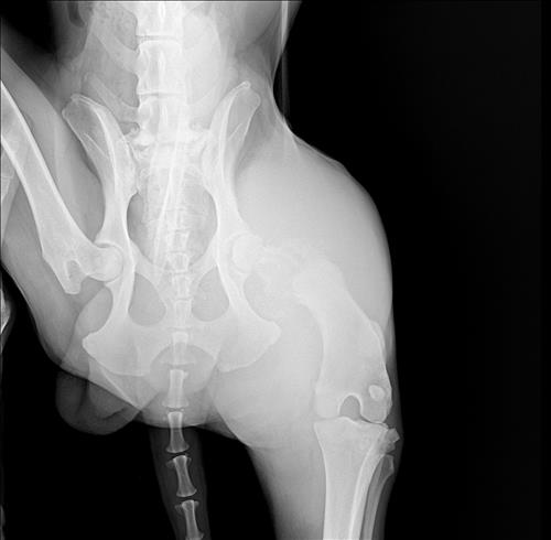
골육종 진단받았는대 맞을까요

  • 작성자 : 김**
  • DATE : 2026.02.22
  • HIT : 2



엑스레이 상으로 이정도면 전의가망성이 높고 나이도 나이고 대형견이고 맛있는거 많이주고 마음에. 준비를하라고 하는대 다른선생님 의견도 들어보려고 문의 드립니다.
거의9년을 함께했는데 맘이 찹찹하네요