의료 전문 상담이 필요한 분들께 수의사가 직접 답변드립니다!


파열은 아니고 밀렸다고 하셨고
동물병원에는 2회 방문해서
갈때마다 엑스레이 촬영과 먹는 약 구매로 인해서
방문할때마다 8만원 이상의 병원비를 내고 있습니다.
우선 11kg의 비숑입니다.
비만이고 덩치도 큽니다.
혼자 신나서 빠르게 움직이며 가벼운 점프를 하다
심한 고통을 느꼈는지, 비명을 내지르기 시작했습니다.
이후 동물병원에 방문하였고,
수술과 보존치료를 선택하는게 좋은데.
수술은 가급적 시키고자 하는 마음이 들지 않았습니다.
우선 비용적인면이 가장 크고
걱정스런 마음도 상당히 큽니다.
보존치료는 체중감량과 활동성제한,
절대 뛰거나 점프를 못하게 하라는 말씀과 더불어
제딴에는 조금이나마 좋아지길바라며
관절 영양제를 병원에서 구매하였고,
쿠팡에서 관절 보조기를 구매하여 착용시키고있습니다.
의사선생님께서 말씀하신건 파열은 되지 않았지만
밀린 상태지만 파열이 될 가능성도 있으니
철두철미한 관리가 필요하다, 였습니다.
저는 이후로 열심히 관리하고 있고
반려견의 활동을 제한하고 있습니다.
간식은 일체 주지 않으며
체중관리 사료만 주며(로얄캐닌 세타이어티)
약과 영양제를 매일 먹이고 있습니다.
정확히 반려견이 다친지 11일이 되었습니다.
그러나 반려견이 계속 뒷다리를 절고 불편하게 걷는것을 보면
정말 마음이 너무 아픕니다.
보존치료로 정상보행을 할 수 있는건지,
인터넷이나 수의사선생님 말로는 길게는 6주까지도 걸릴수 있다고는 하셨는데
이게 사람이라는게 호전되지 않는 시간들을 보내다보면
불안한마음이 없을래야 없을 수 없는것 같습니다.
부디 염치 없지만
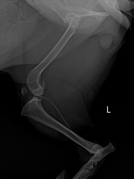
엑스레이 사진을 봐주시고 선생님의 조언을 간절히 기다립니다. 계속 관리해주고 체중관리와 더불어 보조기 착용을 한다고해서 정상 보행이 가능해질수 있을까요?
간절하게 답변 기다리겠습니다.
정말 감사합니다.
플러스동물메디컬센터(영등포) 상품 보기