수의사 상담

의료 전문 상담이 필요한 분들께 수의사가 직접 답변드립니다!

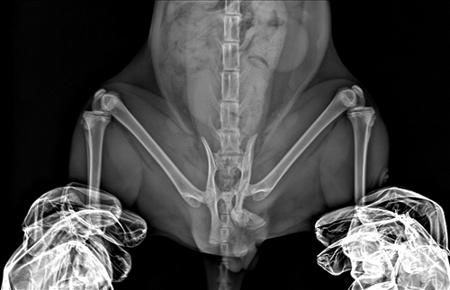
골반골절 수술문의

  • 작성자 : 홍**
  • DATE : 2025.10.24
  • HIT : 116



8개월 남아 코숏 
최근 입양한 길냥이가 며칠간 대변을 못봐 진료를 봤습니다.
엑스레이 상 골반골절 의심 진단을 받고​​​​​​
수술적 치료가 가능한 상황인지 문의드립니다.
 

플러스동물메디컬센터(영등포) [2025.10.24] 플러스동물메디컬센터(영등포) 상품 보기
안녕하세요, 외과 수술 전문 플러스동물메디컬센터입니다.
현재 글과 첨부해주신 글만으로는 수술 가능 여부를 판단하기가 매우 어렵습니다. 특히 엑스레이상 이미 유합이 진행된(회복된) 상태로 보여 수술을 하게 된다면 의도적으로 재골절을 만들어 정렬을 다시 잡아야 하기 때문에, 이 경우 단순 골절 수술과는 난이도와 위험도에 차이가 납니다.

수술 가능 여부를 결정하려면 정밀 평가를 진행해 유합 상태와 변위 정도, 협착 정도, 신경/연부조직 평가, 직장 내가 평가도 해봐야 알 수 있습니다. CT 검사, 직장 조영 검사 등이 가능한 동물병원에 내원하셔서 상담을 받아보시는 것을 추천드립니다.
당장은 변이 굳지 않도록 충분한 수분과 식이섬유를 보강해주시고 완하제는 수의사의 지시에 따라 사용하세요. 변비가 심하거나 복부 팽만, 구토 발생 시 관장이 필요하므로 즉시 내원하셔서 치료를 받으시길 바랍니다.

정밀 평가가 가능한 병원에 내원하셔서 검사를 받아보시고 수술 가능 여부에 따라, 수술을 결정하시거나 앞으로의 관리에 대해 충분한 상담을 진행하시길 바랍니다.

수의사 상담에 대한 답변은 아이를 직접 확인하지 못한 상태, 글로 확인한 증상과 사진으로만 판단한 일차적인 답변입니다.
실제 검사 결과에 따라 확진 내용이 달라질 수 있습니다.