facebook
tweeter
instagram
kakao
마이페이지
장바구니
구매내역
고객센터
mypet
Notice
12월 무이자/부분무이자 카드 혜택 안내
마이펫플러스 이용 방법이 달라졌어요!
[소비자가만드는신문]동물병원 진료비 사전고지 담은 '수의사법' 개정안 법안소위 통과
search
실시간 치료현황
154,475
인기검색어 :
중성화수술
스케일링
예방접종
슬개골탈구
전체 카테고리
동물병원
수술/치료
비뇨산부의학과
정형외과
종양의학과
치과
안과
일반외과
신경외과
일반내과
이비인후과
심장의학과
감염내과
소화기과
응급의학과
재활의학과
피부과
예방접종
예방의학과
감염내과
검진/검사
진단검사의학과
알레르기내과
심장의학과
영상의학과
감염내과
안과
치과
종양의학과
피부과
비뇨산부의학과
신장의학과
소화기과
정형외과
기타
추가상품
추가선택
동물등록
동물병원
맞춤검색
플러스몰
안고가개
수의사상담
이벤트
고객센터
제휴-광고 문의
Community
커뮤니티
수의사상담
자유토크
마이펫소식
멍냥백서
마이펫체험단
수의사 상담
의료 전문 상담이 필요한 분들께 수의사가 직접 답변드립니다!
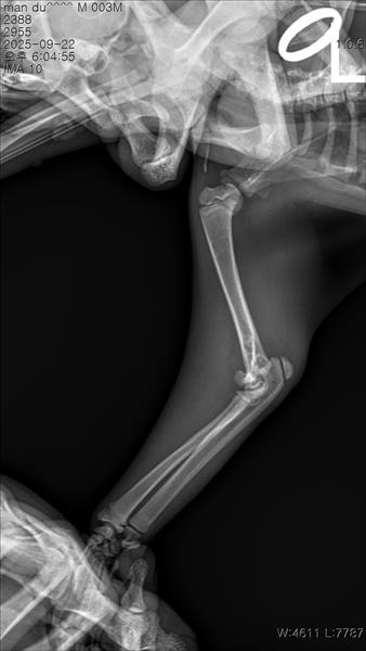
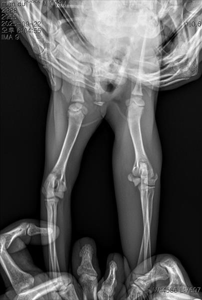
5개월령 고양이 앞다리 골절..도와주세요
작성자 : 손**
DATE : 2025.09.22
HIT : 149
안녕하세요 5월 30일에 태어나 5개월차 고양이를 키우고있는 집사입니다
하루 집 비운 사이에 고양이가 왼쪽 앞발을 들고 걷더라고요
만지면 아파하길래 냅다 병원가서 엑스레이 진단을 받았어요
왼쪽 앞다리 팔꿈치 부분 성장판 골절이라고 진단을 받고 수술을 권장 받았어요..
수술비는 대략 200~300 생각하시라고 하더라고요
수의사님들 생각은 어떠신지 의견과 깁스치료는 불가한건지 상담 받고싶어요ㅜㅜ 도와주세요
플러스동물메디컬센터(영등포)
[2025.09.23]
플러스동물메디컬센터(영등포) 상품 보기
안녕하세요 외과수술전문 플러스동물메디컬센터입니다.
아직 어린 우리 아이에게 이런 일이 생겨서 많이 놀라셨을 것 같아요. 말씀주신 상황과 사진을 보면 상완골 원위단, 성장판 골절이 확인됩니다.
깁스 치료는 전위가 거의 없는 "안정적" 골절에서는 가능하지만, 우리 아이의 경우 주관절의 불안정성으로 파행이 생길 수 있어 깁스만으로는 예후가 좋지 않을 듯 합니다. 깁스로 버틴다 해도 비뚤게 붙거나, 성장판 손상으로 앞다리 변형이 남을 수 있습니다.
따라서, 정확히 맞추고 고정하는 수술치료가 가장 좋은 치료 방법입니다. 나이가 어려 회복이 빠르고, 정상 보행 가능성이 높으니 수술치료를 고려해보시는 것을 권해드립니다.
수의사 상담에 대한 답변은 아이를 직접 확인하지 못한 상태, 글로 확인한 증상과 사진으로만 판단한 일차적인 답변입니다.
실제 검사 결과에 따라 확진 내용이 달라질 수 있습니다.
목록