수의사 상담

의료 전문 상담이 필요한 분들께 수의사가 직접 답변드립니다!

강아지 피부병 빨간색 뾰루지

  • 작성자 : 유**
  • DATE : 2025.08.20
  • HIT : 182

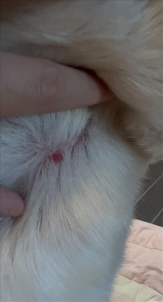
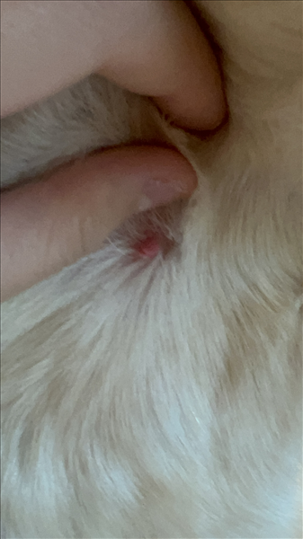
선생님 안녕하세요ㅜㅜ 현재 5세된 라브라도 남아 키우고 았는데 최근들어 피부병이 생겼습니다ㅜㅜ 전반적으로 피부 상태가 좋지 않은데 오늘 집중적으로 긁는 부위에 진드기가 있나 확인해보려고 봤는데 빨간색 뾰루지? 혹? 같은게 달려있더라고요ㅠㅠ 크기는 크지 않은데 좀 길쭉한? 모양입니다ㅜㅜ 이게 뭘까요ㅜㅠ
커비동물병원(강남) [2025.08.21] 커비동물병원(강남) 상품 보기
안녕하세요 피부과·내과 전문 커비동물병원입니다.
사진으로 봤을 때, 외부 기생충 보다는 피부염증이나 뾰루지 가느성이 가장 커 보이나, 혹이나 종양의 초기 증상인 경우도 완전히 배제할 수는 없으므로 동물병원 내원 후 검사 받는 것을 권장드립니다.

만졌을 때 딱딱하거나 점점 커지면 종양성 병변 가능성이 있고 노랗게 진물이 나거나, 주변 털이 빠지고 냄새가 나면 세균성 피부염일 수 있습니다. 또 여러 군데 병변이 생기고 가려움이 심하다면 알레르기성/기생충성 피부염 가능성이 있습니다. 정확한  진단을 위한 피부과검사와 약물치료, 레이저치료 등이 필요할 수 있습니다.동물병원 내원 후 검사 받아보시기를 권장드립니다.

수의사 상담에 대한 답변은 아이를 직접 확인하지 못한 상태, 글로 확인한 증상과 사진으로만 판단한 일차적인 답변입니다.
실제 검사 결과에 따라 확진 내용이 달라질 수 있습니다.